: Wucherling - Taphrina deformans
Bild © (1)
Autor: (Berk.) Tul.
Synonyme:
Exoascus deformans (Berk.) Fuckel 1870
Ascomyces deformans Berk. 1860
Taphrina deformans (Berk.) Tul. 1866
Exoascus amygdali Jacz. 1926
Taphrina amygdali (Jacz.) Mix 1936
Synonyme:
Ascomyces deformans Berk.
Ascosporium deformans (Berk.) Berk.
Exoascus amygdali Jacz.
Exoascus deformans (Berk.) Fuckel
Exoascus deformans subsp. cerasi Fuckel
Exoascus deformans subsp. deformans
Exoascus deformans subsp. persicae Fuckel
Exoascus deformans var. armeniacus (Ikeno) Sacc. & Traverso
Taphrina amygdali (Jacz.) Mix
Taphrina deformans var. armeniaca Ikeno
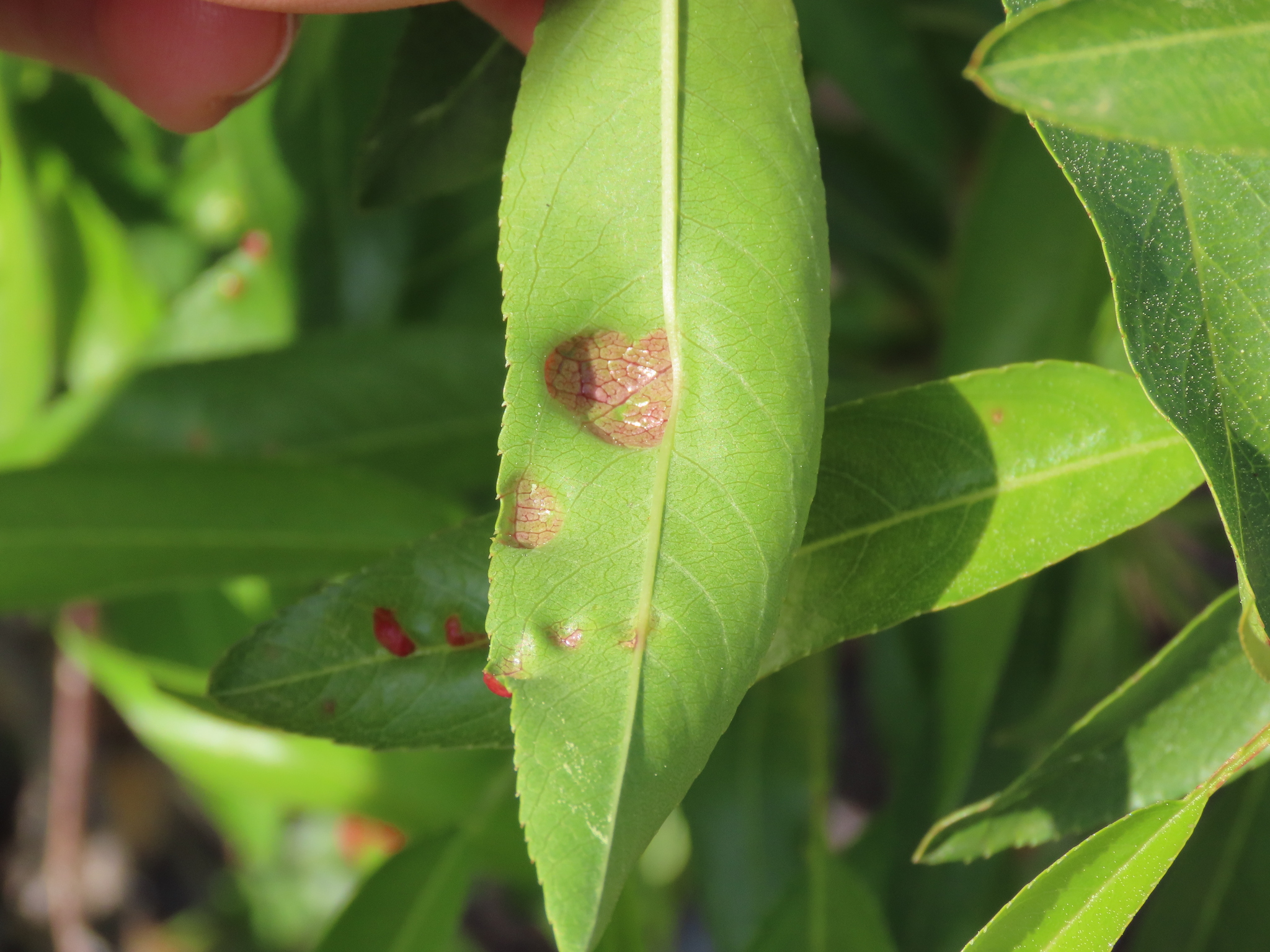
Erreger der Blattkräuselkrankheit des Pfirsischs.
Fruchtkörper: Stielzellen vorhanden, 6—8 µm lang, 6—10 µm breit, nach unten häufig schwach zugespitzt.
Oberfläche, Hülle: Asci keulenförmig-cylindrisch, oben oft abgestutzt, 25—40 µm lang, 8—11 µm breit, je acht kleinere oder vier grössere Sporen enthaltend.
Inneres, Innenmasse: Mycel intercellular, in den Sprossachsen überwinternd, zusammenhängende subkutikulare Hymenien bildend und an den Blättern eine Kräuselung und Auftreibung verbunden mit Rot- oder Gelbfärbung hervorrufend.
Basis, Ständer:
Vorkommen: An Persica vulgaris und Amygdalus communis. „Kräuselkrankheit" der Pfirsichblätter.
Eingetragen durch: admin
Zuletzt geändert: Fre , 01.Jan 1971
Für volle Auflösung bitte auf da Bild klicken:
|
|
|
|
Bild 2 © (2) Paul Bachi, University of Kentucky Research and Education Center, Bugwood.org
Bild 3 © (3) Mary Ann Hansen, Virginia Polytechnic Institute and State University, Bugwood.org
Bild 4 © (4) Rebekah D. Wallace, University of Georgia, Bugwood.org

TEAMVALOR786 Succulents and cacti, The future of nature is in your hands
Lizenz: http://creativecommons.org/licenses/by/4.0/

TEAMVALOR786 Succulents and cacti, The future of nature is in your hands
Lizenz: http://creativecommons.org/licenses/by/4.0/

TEAMVALOR786 Succulents and cacti, The future of nature is in your hands
Lizenz: http://creativecommons.org/licenses/by/4.0/
Previous








